U gebruikt een verouderde internetbrowser.
We raden u aan om de meest recente internetbrowser te installeren voor de beste weergave van deze website.
Een internetbrowser die up to date is, staat ook garant voor veilig surfen.

Helaas, dit pand is verkocht

1850 Grimbergen

Verkocht

Omschrijving

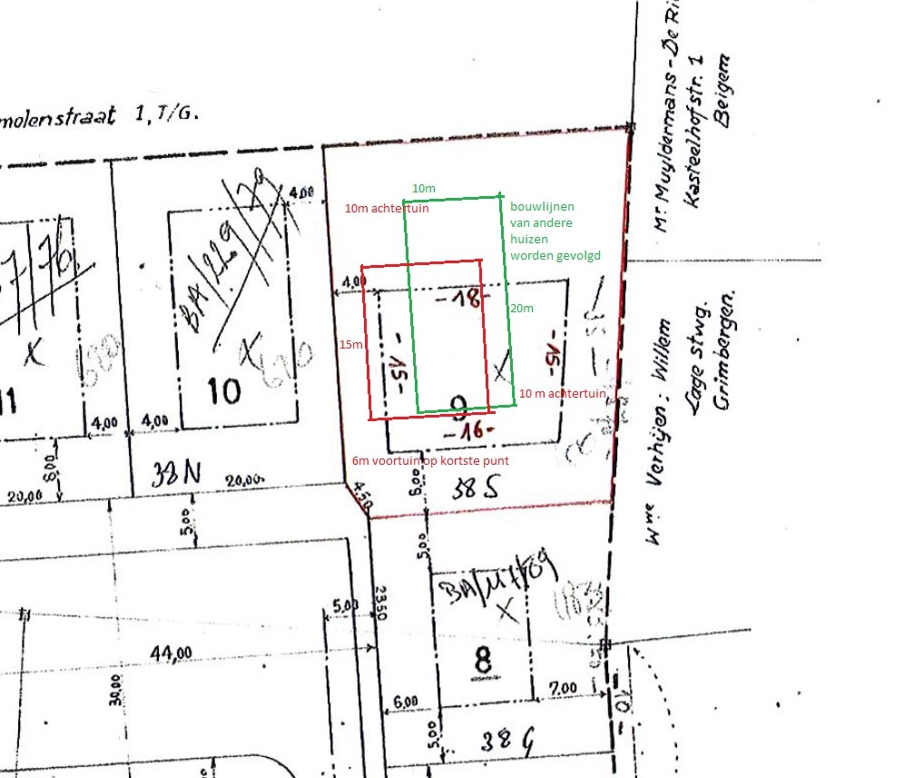
Rustig gelegen perceel grond. Mits stedenbouwkundig attest geschikt voor open bebouwing.

Perceel grond van 14a 61 ca, een gevelbreedte van 20m en een diepte van ongeveer 67m. Voorschriften van de gemeentelijke stedenbouwkundige verordening van toepassing (diepte 15m op gelijkvloers, 12m op verdiep OF 14m op gelijkvloers en op verdiep. Nokhoogte: 11m. Kroonlijsthoogte: 6,50m).


Niet gevonden wat u zocht? Schrijf u dan vrijblijvend in op onze nieuwsbrief en blijf op de hoogte van ons recentste aanbod.
Schrijf u in
Terug naar boven
Sluit menu New Immo Wemmel